各有关利害关系人:
我局已受理福建和泰香业有限公司申请的锦丰行香业生产线扩建项目的《建设工程规划许可》的申请事项,现将规划拟许可内容公示如下:
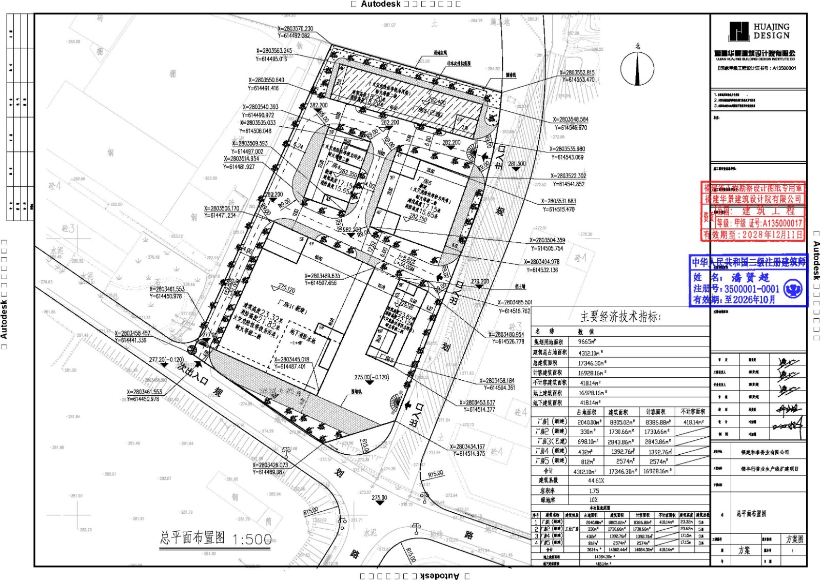
一、建设单位:福建和泰香业有限公司;
二、项目建设内容:拟建厂房1、厂房2、厂房4、厂房5;总建筑面积:14502.44平方米,计容建筑面积:14084.30平方米,不计容建筑面积418.14平方米。
三、详见总平面图
本公示期限从2025年4月28日至2025年5月14日(10个工作日)。 根据《中华人民共和国行政许可法》第三十六条和第四十七条的规定,行政许可申请人、利害关系人有权进行陈述、申辩和要求听证的权利。如有意见和建议,请以署名书面形式告知我局。申请听证的,应于公示期间及公示期满后五日内以书面形式向我局提出听证申请,逾期未提出的,视为放弃听证权利,我局将依法做出相关行政许可。如在公示期内对我局审批事项有异议,向我局提交书面申请的,我局将依法向申请人提供异议人的姓名、申请事项等信息。
联系人:小林
联系电话:0595- 23860488
永春县自然资源局
2025年4月28日
扫一扫在手机上查看当前页面
泉州县(市、区)
福建省设区市
各省区市
国家部委
友情链接

微信扫一扫关注

扫一扫下载APP
主办:永春县人民政府办公室
为确保最佳浏览效果,建议您使用以下浏览器版本:IE浏览器9.0版本及以上; Google Chrome浏览器 63版本及以上; 360浏览器9.1版本及以上,且IE内核9.0及以上。
